この度相続した農地を現状有姿にてお譲り頂きました。「草刈りから解放されホッとする!先行して、持ち出し経費が無く助かったよ。」とお客様より感謝のコメントを頂きました。
今後は弊社で造成工事を行った上で、建物業者様に譲り3区画の建売住宅が出来る予定です★
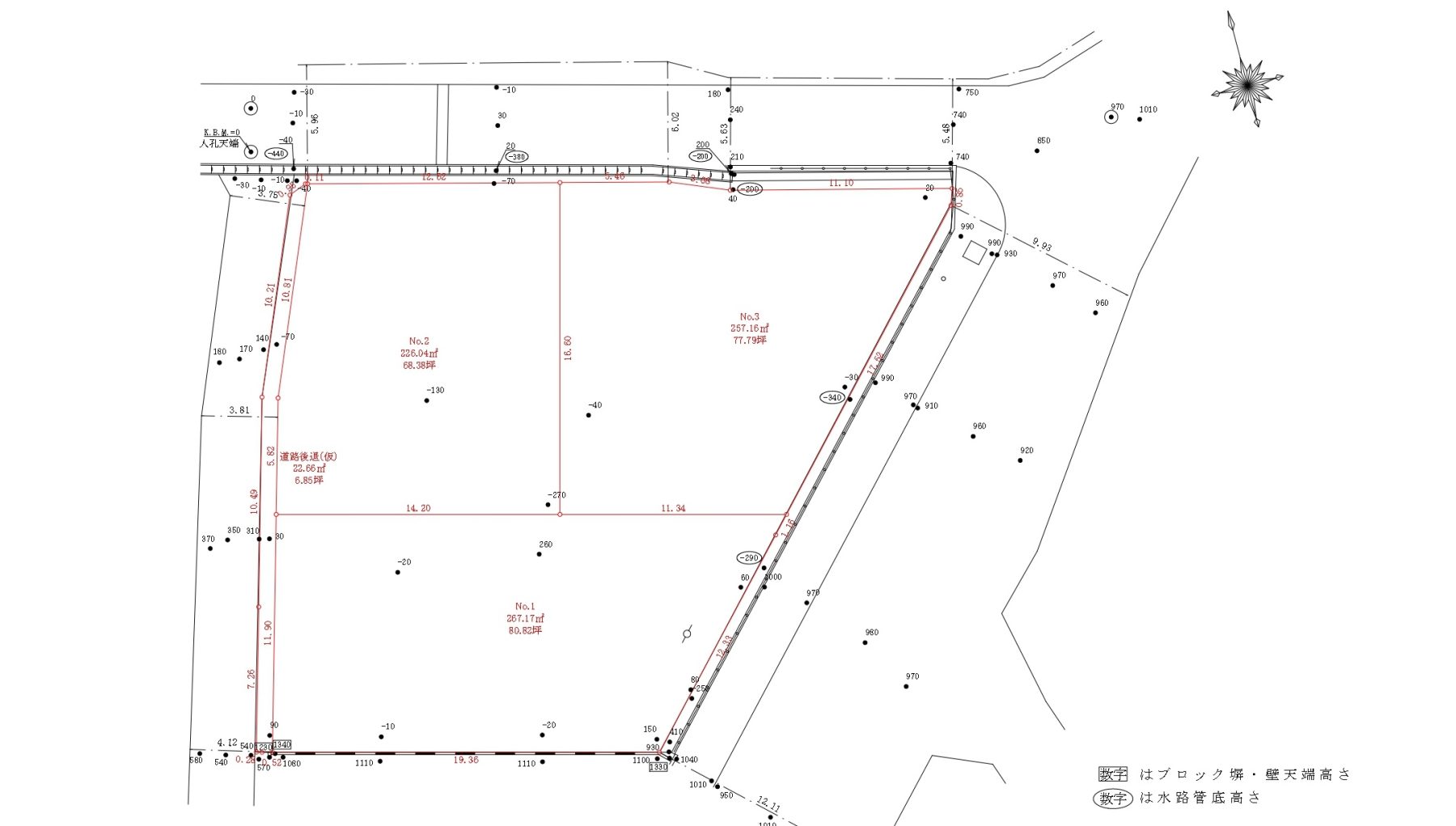
この度は弊社に相続不動産のご相談を頂き誠にありがとうございました。
この度相続した農地を現状有姿にてお譲り頂きました。「草刈りから解放されホッとする!先行して、持ち出し経費が無く助かったよ。」とお客様より感謝のコメントを頂きました。
今後は弊社で造成工事を行った上で、建物業者様に譲り3区画の建売住宅が出来る予定です★
この度は弊社に相続不動産のご相談を頂き誠にありがとうございました。