農地の出口(譲渡)をどう考えるか?
農地=農地を守る為のルール(農地法)で守られております。
「耕作の目的で使われる土地」と定義されているおり、勝手に家を建てたり、駐車場にしたりする事が出来ません。*無許可では所有権移転も出来ません。
では、相続した農地の出口(譲渡)をどう考えるか?下記手順で農地の特徴を分析、譲渡シナリオを考えてみました!(都市計画区域内の農地)
都市計画区域(としけいかくくいき)とは、都市計画制度上の都市の範囲である。都心の市街地から郊外の農地や山林のある田園地域に至るまで、人や物の動き、都市の発展を見通し、地形などからみて、一体の都市として捉える必要がある区域を、「都市計画区域」として指定します。
国土交通省 都市局 都市計画課
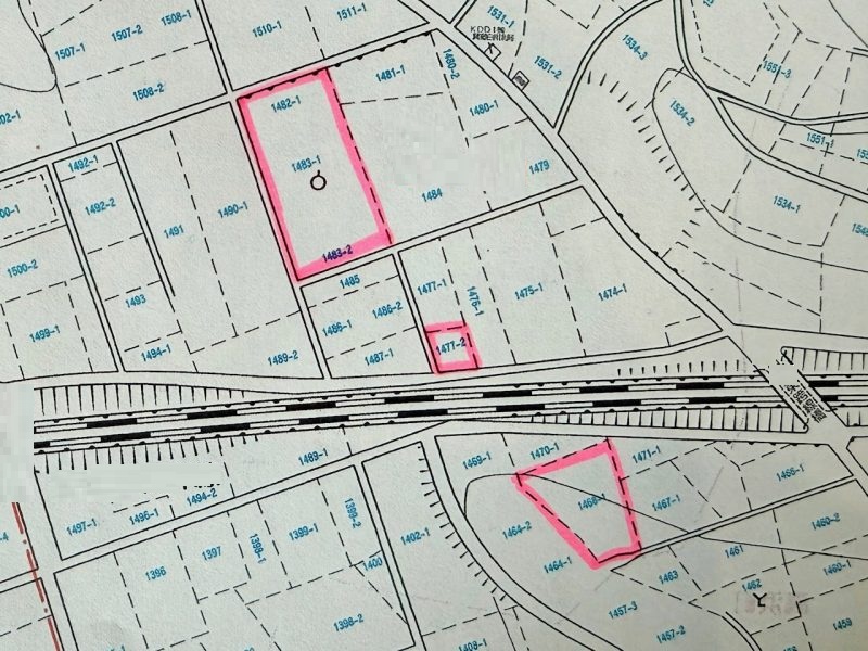
1・対象農地がどの様なエリアに位置するか?

対象の農地が都市計画のルールの中で、どの様な指定と規制がされているか?をチェックします。(上の画像の様に、対象地をマークし見える化すると分かりやすいです!)都市計画上、区域区分上どの場所に位置し、どの様なルールが適用になるかを個別に調査します。

都市計画区域には上図の様に区域区分があり、相続した農地がどこに該当するか?チェックします。
【市街化区域】既に市街地を形成している区域です。この区域内の農地でしたら、予め農業委員会に届け出れば後記農地法5条の許可は不要。最も農地を売却しやすい区域です。(*農地法以外にも、接道義務、都市計画制限、ライフラインの状況他、複数のルールに適合するか?買い手のニーズ合致するか?等課題がある場合が有りますので注意点はあります。)
【市街化調整区域】市街化区域と対照的なエリアが市街化調整区域です。市街化を抑制すべき区域で、下記の様な特徴があります。
開発:開発や建築活動は厳しく制限され、小規模でも必ず開発許可が必要です。(許可に際して敷地面積制限の設定もあり、更に相続した農地を売却する際には後記の農地法許可も必要となります。)
生活インフラ:ライフラインの整備が不十分なエリアが多いのが特徴。公営水道の経口が細かったり、本下水道や浄化槽の排水接続先である側溝が未施工のケースが多々あります。それは、市街化調整区域が農地や自然環境を保全することが主な目的となっている為です。
【非線引き区域】上記の市街化区域、市街化調整区域に分けることを線引きといい、逆をいうとその線引きがされていないエリアが非線引き区域です。市街化区域の様に行政が用途地域を定める事が出来る為、その用途に適した用地として農地を売却する事が見込めます。
2・農地の種別
日本における法令上の農地の分類は以下種類があります。特に①~③は宅地等、農地以外の地目変更が極めて難しい特徴があります。その際には農地法3条許可を受け農業従事者(農地所有適格法人等)に譲渡する事で、相続した農地を手放すことが出来ます。
①農用地区域- 市町村が定める農業振興地域整備計画において指定
②甲種農地- 第1種農地の条件を満たす農地であって、市街化調整区域内の土地改良事業等の対象となった農地等、特に良好な営農条件を備えている農地
③乙種農地:第1種農地- 10ha以上の規模の一団の農地、土地改良事業等の対象となった農地等、良好な営農条件を備えている農地
④乙種農地:第2種農地- 市街地化が見込まれる農地
⑤乙種農地:第3種農地- 市街地の区域又は市街地化の傾向が著しい区域にある農地
3・農地転用と権利移動の制限

先程の文面にありました農地法3条許可と5条許可のイメージです。
3条は農地を農地をとして、原則農業従事者(農地所有適格法人等)に権利移動(所有権移転)、5条は相続した農地を農地以外の土地に転用し権利移動(所有権移転)します。
4・相続した農地を売却した事例
最後に、弊社でお手伝いさせて頂きました、相続した農地の売却事例をご紹介させて頂きます☆

非線引き区域(1種住居)の元農地 
非線引き区域(未指定)の元農地 
非線引き区域(未指定)の元農地 
市街化調整区域:都市計画法34条11号許可 
非線引き区域(未指定)の元農地 
市街化調整区域:都市計画法34条11号許可 
市街化調整区域:都市計画法34条11号許可 
市街化区域内の元農地 
市街化調整区域:都市計画法34条11号許可 
市街化調整区域:都市計画法34条11号許可 
非線引き区域(未指定)の元農地 
市街化調整区域:都市計画法34条11号許可

市街化区域のインフラ寄付工事(例1) 
市街化区域のインフラ寄付工事(例2) 
市街化区域のインフラ寄付工事(例3)

農地法許可後の造成工事 
農地法許可後の造成工事 
農地法許可後の整地
まとめ
今回は農地の譲渡・売却についてご案内させて頂きました。弊社では随時農地売却のご相談承っております!対象エリアは群馬県・栃木県・埼玉県の3県において相続した農地の買取り、コンサルティングを行っております。一人で悩まず先ずはお気軽にお問い合わせください。